ABOUT NORHAM GARDENS

History of Norham Gardens club

An epic saga of All-England tournaments, arson, Henman and eviction

OULTC: 1879-1883

Lawn tennis has been played in Norham Gardens since the year 1879, when the newly formed Oxford University Lawn Tennis Club (OULTC) had 12 grass courts laid out for the inaugural Oxford University Men’s Doubles Championships, which were held in May of the same year. Although the All-England club at Wimbledon had held its first championship in 1877, it was for men’s singles only.

A letter from the OULTC secretary, Kenelm Cotes, appeared in The Times on 15 April 1879 (Fig.1), inviting lawn tennis players in “all England” to enter a doubles competition at Oxford to be held during the May Races (the rowing eights races on the River Isis). In the event, fourteen pairs entered with representatives from Jesus College, Cambridge, Hinckley, Cheam, the Carlton Club, the All England, West Middlesex, Leamington, the Princes Club and Oxford University (six pairs). On the first day of competition, Tuesday, 20th May, four pairs scratched or failed to turn up. One of the closest of the first round matches that were played saw the Oxford University pair of Rev. T.F.Burra and Rev. F.C.Dillon beat the West Middlesex pair of Dr.Forbes Winslow and Mr.C.J.Cole by 4 sets to 3, the best of 7 sets being played.

An account of the first Oxford University Men’s Doubles Championship final, taken from the Oxford University Herald of 31 May, 1879.

The second and third round matches were held over the next two days, with the result that the finalists were L.R.Erskine and H.E.Lawford of the Carlton club (Pall Mall) and G.E.Tabor and F.Durant of the Cheam club. The final was held on Friday 23 rd May. In a close contest, Erskine and Lawford won by 4 sets to 3, the score being 4-6, 6-4, 6-5, 6-2, 3-6, 5-6, 7-5. Whereas the third and sixth sets were decided by the single game, it was agreed in the last set to play “vantage” games at 5-5 so that the winners obtained a two game lead. The Oxford University Herald printed an account of the final (left). Although it seems clear from the account that the score in the final set was 7-5, there must have been some confusion at the time, since some sources today give it as 10-8 (e.g. Fig. 5). Whatever the exact score was, the Oxford Chronicle reported that “at the conclusion both sides were enthusiastically cheered by a large and distinguished company of spectators”. The winners were presented with a silver challenge club (worth £60) and the four finalists were to be given jackets by the club (probably in the club colours of vermilion and chocolate stripes, a choice which was considered ugly by many of the members).

An aerial photograph of Norham Manor taken in 1928, showing the tennis courts at Benson Place used by the OULTC from 1879 to 1926. The accompanying captions show some of the visible features, including the probable site of the 1913 ‘new’ hard courts. Courtesy Aerofilms Ltd, Borehamwood, Herts.

The OULTC grass courts were laid out by Mr Burrin, the groundsman at Iffley Road running track, on land to the north of Lady Margaret Hall (LMH), the university ladies’ college which itself was beginning life in 1879. The site was leased from St.John’s College and was situated where the LMH chapel and the Denneke hall of residence now stand. The pavilion was on the north side of the courts in Benson Place, opposite Norham Mews, where the wealthy residents of Norham Manor kept their horses and carriages and from where the Brewers ran a cab business employing horse-pulled carriages. An aerial photograph, taken in 1928, (see Fig 3) shows the tennis courts and pavilion still in existence at that time.

The OULTC was founded around 1878 by K.D.Cotes and F.Penny, two bible clerks from All Soul’s College, Sir W.R.Anson, then the Vinerian Reader in English Law at the same college, and R.W.Braddell from Worcester college (Fig.4). The first recorded match was in November 1878 against Leamington at Oxford, presumably on a hard court, though whether this was at Norham Gardens is not recorded. Only one doubles match was played: Burra and Monro for the OULTC won by 3 sets to 0 (Oxford Univ. Almanack & Register, 1880).

Year Winners Losers Score

1879

L.R.Erskine & H.F.Lawford

F.Durant & G.E.Tabor

4-6, 6-4,6-5, 6-2, 3-6, 5-6, 10-8

1880

E.Renshaw & W.Renshaw

C.J.Cole & O.E.Woodhouse

6-1, 6-4,6-0, 6-8, 6-3

1881

E.Renshaw & W.Renshaw

W.J.Down & H.L.Vaughan

6-0, 6-0, 6-4

1882

J.T.Hartley & R.T.Richardson

J.G.Horn & C.B.Russell

6-2, 6-1,6-0

1883

C.W.Grinstead & C.E.Weldon

R.T.Milford & C.B.Russell

3-6, 6-1, 6-3, 6-4

1884

E.Renshaw & W.Renshaw

E.W.Lewis & E.L.Williams

6-3, 6-1, 1-6, 6-4

Above: The results of the early All-England Men’s Doubles championships including those which were held at Oxford from 1879 to 1883. In 1884 they were held at Wimbledon.

In 1880 the challenge cup was won by the 19-year old Renshaw brothers, William and Ernest, from Cheltenham, representing the Maida Vale club (fig. 6). They beat Cole and Woodhouse from the West Middlesex club in the final. The Renshaws were to win again in 1881, this time beating Down and Vaughan from the OULTC in the final. In 1882, however, the Renshaws were surprisingly beaten in 3 sets by J.T.Hartley and R.T.Richardson in the semi-final. This defeat was attributed in part to the decision of the MCC and All-England clubs on 12 May 1882 to lower the net at the posts from 4 ft to 3 ft 6 ins in an attempt to counter the predominance of the “new” volley, favoured by the Renshaws (C.G.Heathcote in Tennis, 1890). This change had the effect of making it easier for base-line players such as Hartley to play down the side-lines. Something certainly affected the Renshaws, for The Field reported that their play was “nothing like up to their usual form, indeed it was decidedly bad, hardly a single first serve getting over the net”. Hartley and Richardson had an easy win in the 1882 final against the Oxford University pair of Horn and Russell. The Renshaws obviously adapted to the new net height in time, for they were to win the men’s doubles at Wimbledon a further five times from 1884 to 1889.

The demise of the Oxford Doubles tournament came after the 1883 event. The Oxford Magazine reported on 6 June:

“The Lawn tennis Tournament last week proved a great disappointment on account of the non-arrival of the Renshaws. It would probably never have been got up but for their undertaking to play. First they put off coming from Tuesday to Wednesday, and then at the last minute they declined to put in an appearance at all. The Club authorities were very energetic in spreading the unwelcome news, and many of the people retired from the ground on learning that the great attraction was not to come off. The entries were ultimately reduced to members of the club.”

Only three matches were played in the tournament, with Grinstead and Weldon of the OULTC ending up as holders of the cup. One report stated that interest in the event had waned, because the leading players were unwilling to spend several days just playing doubles. Oxford University decided to discontinue the event and “handed it over in a most disinterested way in 1884 to the All-England club”, according to H.W.W.Wilberforce, the secretary to the All-England club, (and a former Cambridge University player). Consequently, in 1884 the All-England club held their inaugural Men’s doubles championship at Worple Road, Wimbledon. With great generosity the OULTC gave their Challenge cup to the All-England club to be presented to the winners of their men’s doubles competition. To this day, the winners of the Wimbledon men’s doubles are presented with the cup, with both members of the winning pair receiving replicas of the cup (fig. 7). The Wimbledon programme traditionally list the winners and runners-up from the 1879-1883 Oxford Men’s Doubles in the results of the All-England Men’s Doubles.

OULTC: 1893-1927

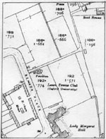
The OULTC prospered in the following years with 150 members at one stage, and in 1893 four new grass courts were added at Norham Gardens, making 17 in all. The Oxford versus Cambridge university tennis matches were first played in 1881 and were held initially at clubs in London, such as Prince’s and Queen’s, reverting to the Oxford and Cambridge grounds (alternating between the two) in 1906. The finances of the OULTC were in a perilous state at one stage (in 1901) and the secretary of the club was forced to help out from his own pocket, until help was given by donations from the Oxford colleges. By 1913 Lady Margaret Hall had taken over a large part of the tennis club’s site for their own recreational use, so that the OULTC acreage was reduced from the 2.7 acres occupied in 1898 to just 0.77 acres (see next page for maps in fig. 8). This prompted the OULTC to send out a New Ground Appeal to old members in April, 1913:

Ordnance Survey map of the Benson Place area. In 1898 (top left), showing the site of the original OULTC ground at Benson Place.

“Owing to the extension of LMH and the increasing demand for winter play, the present ground has become inadequate… we have acquired new ground adjoining the present one on a long lease. It has been decided to make four hard courts on the new site, to convert the present gravel courts to grass, to level the two remaining grass courts and to extend the “runback”. Cost (will be) not less than £500.” (OULTC Miscellaneous documents, Bodleian Library, G.A.Oxon. c.26)

They probably had two or three gravel courts in 1913, since the total area of 0.77 acres which is attributed to the OULTC on the Ordnance Survey map of 1921 could not accommodate more than four or five tennis courts. Improvements to the pavilion were also intended. Among those old members promising donations were F.Gore-Browne, K.C. (1880-81, Hon. Treasurer) and H.S.Scrivener (1888, President).

The construction of the new courts went ahead and they were ready by October 1913. Members of the OULTC were asked for a subscription of £2 10s for use of the hard courts alone, and £2 15s for the hard courts and the grass courts in the summer. The 1928 aerial photograph (fig 3) shows four tennis courts in an area on the northern boundary of the original OULTC site, flanked by a line of large trees and a couple of outbuildings to the east. This area was represented on the 1921 OS map as plot number 188b with an area of 0.666 acres (fig. 8). I presume that these courts were the OULTC’s new hard courts of 1913, although I have not been able to confirm this point. Certainly, Norham Gardens LTC had use of four courts in this position in 1935, together with six more to the west and it is known that this club “purchased” four hard courts from the OULTC when the university tennis club moved to Iffley Road in 1927. In 1923 the land which was occupied by the university club was purchased by LMH from St.John’s College. The OULTC were then given a 10 year lease at £50 per year for their site.

In 1921, showing the reduced size of the club’s grounds.

Oxford hosted the Oxford versus Cambridge university tennis match every even numbered year over the period 1906 – 1924, except during 1915 – 1918 when the fixture was discontinued because of the first world war. These matches were held at Norham Gardens except in 1910 and 1912 when the New College courts were used, because of the poor condition of the Norham courts. In June 1914 the fixture was back at Norham. Another regular fixture of note at this time was the OULTC versus All England match. In 1906 The Oxford Magazine reported that the match attracted a very large crowd of spectators and it was only with great difficulty that they were restrained from encroaching on the courts. The correspondent was impressed by the play of the brothers R.F. and H.L.Doherty (who between the years 1897 and 1905 had won the All-England men’s doubles eight times): “the remarkable manner in which they combined accuracy and severity , and the consummate ease and grace of all their strokes, delighted everyone.” All-England beat the university by 7-2 in the 1906 match.

In 1937, showing the new buildings of Lady Margaret Hall including the chapel, and the tennis courts of the Norham Gardens club to the north (plot 420, of 3.523 acres).

In June 1924 in a close contest Oxford beat Cambridge by 11-10. Play at Norham was marred by the softness of the courts due to rain. The result of the match hinged on the final doubles match and Watt and Kingsley of Oxford beat Reed and Gaunt of Cambridge in three sets. In 1926 the fixture should have been played at Oxford again, but Oxford in the meantime had vacated their Norham site in readiness for a move to the new courts at Iffley Road. Because of the General Strike of 1926 work on the courts was delayed and the courts were not ready. The University match for 1926 was switched to Cambridge instead. The new Iffley Road courts were opened officially the next year.

NGLTC: 1927-1935

An extract from the Oxford Mail of 6 May, 1931, showing photographs of competitors in the first Norham Gardens LTC spring tournament.
An extract from the Oxford Mail of 6 May, 1931, showing photographs of competitors in the first Norham Gardens LTC spring tournament.

When the OULTC moved from the Norham Gardens site, the four hard courts were “bought” by Lt.-Col.H.N.F. Jourdain (Fig. 9). He had been the commanding officer of the Connaught Rangers before it disbanded and had fought in the Natal campaign of the Boer War and the First World War including Gallipoli. He and his wife moved in 1922 to Oxford, where his sister Miss E.Jourdain was principal of St.Hugh’s College, and took residence of Fyfield House in Fyfield Road, a couple of minutes’ walk from the tennis courts in Benson Place. Col. Jourdain had played soccer, hockey and cricket for his regiment, and he decided to give lawn tennis a try. He saw the grass courts in the University Parks but upon enquiring if he could join the club, was informed that the courts were for the university only (this is still the case). When the OULTC moved from the Benson Place site, he took the opportunity to acquire the four hard courts, and with the help of some interested ladies formed the Norham Gardens Tennis club in 1926. He acquired the land between these courts and Benson Place from Somerville College at a later date and laid six more courts. He and his gardener did most of the physical work. In 1929 the club obtained a 50 year lease from St.John’s College.

An aerial photograph taken in June 1935, looking north showing the buildings of Lady Margaret Hall in the foreground with the Norham Gardens LTC grounds just beyond. The club’s wooden pavilion and practice wall are visible near the point where Benson Place turns into Norham Road. To the right of the pavilion are the ten shale tennis courts. The four on the right were grassed over in the 1980s to provide recreation space for the Dragon School. Courtesy Aerofilms Ltd, Borehamwood, Herts.

A wooden pavilion, complete with verandah, was built by the Norham Gardens club; this can be seen in a 1935 aerial photograph (fig. 10). Sadly, it was burned down in the early 1970s (by a disgruntled member it is rumoured). After a long period of managing the club on his own, Col. Jourdain was later helped by Miss Keays-Young, Mr and Mrs Montague Jones and others, under whose leadership the club flourished . The Colonel carried on playing tennis well into his eighties and he died in 1968 aged 95.

In 1931 Norham Gardens LTC held its first Spring Open Tournament (Fig.11) in a week in which Professor Albert Einstein visited Oxford to give the Rhodes Memorial lecture. The men’s singles was won by John Olliff who was later to play in the Davis Cup for Great Britain. There were five handicap events as well as the main draw.

At this tournament there were 14 waitresses attending to the players and guests. The club was then the premier club in Oxford and certainly the most exclusive, with the membership mostly upper-class army officers’ families and University folk. The year 1935 saw the inauguration of the first Easter junior tournament in which Miss Keays-Young gave a trophy for the winner of the under-18 boys’ singles event.

NGLTC: 1935-2001

With the outbreak of war in 1939 the club pavilion was taken over by the Oxford Corporation as an ambulance base. Club records show that the women drivers were able to join the club for a fee of two shillings and sixpence a year. Fresh provision for changing room accommodation and the service of teas for the members was made on the lower courts, where there was a building referred to as the lower club-house. At this time there were ten shale courts, the lower four courts being on the eastern side of the club premises. The outbreak of war also caused some dislocation in the administration of the club. Colonel Jourdain had to take over the roles of both Secretary and Treasurer. The club minutes in 1940 also report that the club had sanctioned the temporary use of a portion of the club grounds for allotment purposes. These were on the north side of the club grounds and provided an income of £4 14s 6d in the year from the rent. The club accounts for the year ending March 1941 also showed that the use of the pavilion by the Ambulance Authorities brought in a rent of £93.

In the 1942 season the number of playing members had fallen from 90 in 1939 to 64 with 20 non-playing members and 10 terminal members. The latter category description was not related to the members’ medical condition, but probably referred to student members who were in Oxford for the university term. By 1951 the “terminal” category had disappeared from the club accounts and was replaced by an undergraduate category.

Only two matches were played in the 1942 season: ladies’ matches against the University and the Wingfield Hospital, both of which were won by Norham Gardens. By June 1945 the Ambulance Authority had vacated the club pavilion, but the allotments continued to be in use up to at least 1955.

After the war, the club continued to flourish as a limited company for 30 years until in 1969 the lease was transferred from St.John’s College to the Dragon School Trust. The tennis club had an “under-lease” from this Trust and it covered the clubhouse, practice area and courts 1 to 6. The lower courts (7-10) were used by Dragon School pupils during the day and by the club members in the evenings.

In 1974 the club suffered a major setback when the 40-year old clubhouse was destroyed by fire. The Oxford Mail on June 10th reported that the fire was discovered in the early morning of Sunday June 10th by a police patrol. The Fire Brigade attended but were unable to prevent the building from becoming a smouldering wreck (See the newspaper report).The Club Chairman, Lt. Col. Graham Jones put the cost of the damage at about £20,000. Arson was suspected by police. It was later rumoured that a young female member of the club was responsible, but this cannot be confirmed.

The story in the Oxford Mail of 10th June 1974.

The club newsletter in March 1975 stated that the disastrous fire caused the club many problems, not the least of which was the shortage of “loos”. It didn’t elaborate on how this particular problem was solved, but added that a new clubhouse had been put in place during the winter months. Presumably the club insurance paid for it. The new building was described as “Terrapin” modular and it had changing rooms, kitchen and bar, plus “the additional comfort that the older clubhouse lacked.” There was no covered outside terrace, however. The newsletter added that any connection of the fire with Mario’s Midsummer Barbecue was coincidental (Mario de Pinto was a men’s A team player at the time).

In 1979 the club celebrated its golden jubilee by staging an England versus Ireland tennis match on September 22 and 23. Mrs Dorothy Maltby, the club vice-president and a member of the LTA’s national council, was instrumental in arranging this match. The England men’s team consisted of Tim Robson (age 18), Jeremy Dier (19), Jeremy Bates (18) and David Felgate (15). There was a lady’s team also, comprising Anthea Cooper, Judy Rich, J. Blyth-Lewis and I.Bouda (ages not given). The final result was England 13, Ireland 1, although rain cut short play on the second day. Linesmen and lineswomen were supplied by members of Norham Gardens LTC. The author of this history was one of the volunteers and quickly came to realise what a difficult job being a lines-person is, after being over-ruled on one point by the umpire, who probably had a better view as he was sitting in an umpire’s chair. There was a party after the first day’s play and this was held in a marquee complete with chandeliers, erected next to the clubhouse. The top prize in the raffle was won by the caterer for the night Mr Martin Stott. He waived his right to the top prize (a colour television) in favour of a bottle of champagne.

Tim Henman, the future Wimbledon semi-finalist, played on Norham’s shale courts when a boy, his mother being a member. Ann Spokes Symonds, who was first elected as a member of Norham Garden LTC in 1939, likes to tell people that she played tennis with Tim. He was 12 at the time. Tim probably likes to tell people that he once played tennis with a former Lord Mayor of Oxford. Tim won the 10 and under Boys singles in the Oxfordshire Junior Closed Championship in both 1983 and 1984. The tournament was held in August on the shale courts at Benson Place. In 1984 over 200 juniors played in the week-long tournament with the finals on the Saturday. On the Sunday the Norham club hosted the finals of the Oxfordshire KO Shield, featuring teams from the North Oxford and Banbury West End clubs.

NGLTC: 2002-

From the Oxford Mail of 10th January 2002.
From the Oxford Mail of 10th January 2002.


In January 2002 St John’s College decided not to renew the lease of Norham Gardens LTC at their Benson Place site. They claimed at the time that they needed the site for its students. Subsequently the site was taken over by the Dragon School, which constructed two all-weather hockey pitches where Norham’s six shale courts once were. The shale courts were probably the last of this particular surface in Oxfordshire.

After a series of 10-year leases from 1979, the college could not be persuaded to change its mind. This was despite adverse comments in the local and national press along the lines that the Prime Minister’s old college had unceremoniously evicted a historic tennis club from its premises; Tony Blair being the incumbent at Number 10 at the time. The college back in 1977 had thoughts of developing parts of the Benson Place site: a map in the club archives shows that an area covering the clubhouse and the four courts nearest to Benson Place was being considered. This would have left the club with the six far courts but difficult access and no parking spaces. In the end, this particular scheme did not materialise.

The front page cartoon from the Oxford Mail of 10th January 2002

However, on Thursday, January 10th 2002, the Oxford Mail ran the story that the club had been finally evicted from its premises, and a photograph showed the membership secretary Richard Bailey with the club sign which had been taken down from the front fence. The Mail added its comment by way of a cartoon, showing the college bursar at the door of the Dean with a broken tennis racket around his neck.

It was a sad day for the club. Admittedly, the club premises were showing signs of wear and tear and the red shale courts were showing their age. The OLTA had moved its two junior tournaments away from Norham Gardens some time ago up to the grass courts of North Oxford LTC, because of disatisfaction with the shale surface. Many members however were disappointed that they would not be playing tennis again in the tranquil surroundings at Benson Place.

The club’s short term future was secured in the spring of 2002 thanks to a public-private partnership offered by Oxford City Council. This involved sharing Alexandra courts in Summertown , and providing the benefits of club membership to Parks players and local residents.

The author Trevor Lea standing in front of the shale courts at Benson Place in about 1990. In the background is the former site of the four lower courts (thought to be inherited from the OULTC in 1929). They were grassed over in the 1980s for use as a playing field for the Dragon School.

Trevor Lea, February, 2017

References

Croome, A.C.M. (ed), 1913-22. “Fifty Years of Sport at Oxford, Cambridge & the Great Public Schools”. Lady Margaret Hall,

Council minute books, 1922-23 (courtesy Julie Courtenay).

OULTC miscellaneous documents, 1885-1925. Bodleian Library

Spokes Symonds, Ann. 1997. “The Changing Faces of North Oxford”. Book 1. R. Boyd.

Tingay, Lance. 1983.

“The Guinness Book of Records. Facts and Feats”. Guinness Superlatives.

Wilberforce, H.W.W. 1889 “Lawn Tennis”

Winter schedule

Sundays

Lady’s practice - 10 am to 12 pm
Men’s practice - 10 am to 12 pm

Wednesdays 
Club afternoon from 1.00 pm

Thursdays
Rusty Rackets—11.00am to 11.55am

Saturdays

Juniors coaching - 9am-1pm,  termly
Club afternoon from 1.00 pm.

Team matches are on Saturdays or Sundays

Racket re-stringing
A service from local coaches

For more information, please click here